Rüde *Dario* 
Rasse: Mischling
Größe: mittel/groß
Alter: ca. 12 - 13 Jahre (eher jünger)
Kastration:
Grund für Aufenthalt im TH:
Wesen: Dario ist in einer guten physischen Verfassung. Er lebt friedlich mit anderen Hun-
den zusammen im Zwinger. Dario ist sehr freundlich den Menschen gegenüber, er mag
und akzeptiert alle. Er gibt keine Probleme mit ihm. Dario liebt es zu rennen..., das zeigt
seine Kraft, Vitalität und Intelligenz.
Rettungspatin
Regina Barthel-Marr, 50 €
komplett !
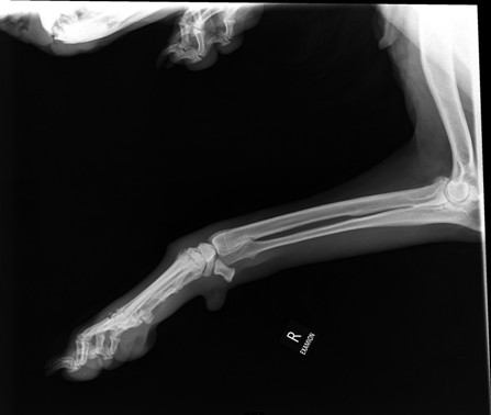
Ania hatte uns darum gebeten, mit Dario zur Klinik fahren zu dürfen, da er Probleme mit einem dicken Gelenk am Hinterlauf hatte. Am 12.01.17 war Ania mit ihm in der Tierklinik,
wo er untersucht und geröntgt worden war. Die Röntgenaufnahmen haben leider ein stark vergrößertes Herz gezeigt, sowie den Verdacht auf Knochentumor ergeben. Zur Sicherheit
wurde ein weiterer TA konsultiert, der die Diagnose leider bestätigte und zudem auch noch
einen Lungentumor diagnostizierte. Die Ärzte rieten dringend zur Euthanasie.
Weil es Dario sichtlich schlechter ging und er auch nicht mehr selbständig aufstehen konnte,
hat man ihn am Samstag, 14.01. erlöst, um ihm weiteres Leid zu ersparen. 






Der liebe DARIO musste gestern, 14. Januar, seine letzte Reise antreten.
Wir können es noch immer nicht wirklich fassen und sind einfach nur unendlich traurig. Leb wohl, du süßer Bub. 
Ein Engel ist zur Erde gekommen
und hat Dich mit in den Himmel genommen.
Er hält Dich sicher, er hält Dich warm,
wir hoffen, Du fühlst Dich geborgen in seinem Arm. 